Israele accusa Hamas: "Ritrovamento del corpo di un ostaggio è una recita" - Video
Il video registrato da un drone a Gaza
Ultime notizie dall'Europa e dal mondo: la politica estera e tutte le news da America, mondo arabo, Medio Oriente di Adnkronos International
Il video registrato da un drone a Gaza
L'entusiasmo dell'equipaggio della USS Washington per il presidente
Bruxelles diventa per due giorni l'epicentro della riflessione strategica sull'Europa della difesa e sul futuro del sostegno militare all'Ucraina. Al quartier generale della Nato si è svolta la prima riunione ministeriale della Coalizione dei Volenterosi, il nuovo formato a guida franco-britannica ch...
Continuano, intanto, le indagini sul colpo dal bottino di 88 milioni di euro in gioielli
All'epoca per il finanziere condannato per traffico di minori era già stato spiccato un mandato d'arresto. L'occasione fu la festa dei 18 anni della figlia di Andrea
Dopo le critiche, ecco la versione 0.1 dell'alternativa all'enciclopedia online
Ue indecisa su asset russi: "Stiamo valutando". Allarme 007 di Mosca: "Francia pronta a inviare 2mila soldati al fianco di Kiev"
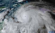
Si tratta della tempesta tropicale più potente registrata quest’anno a livello mondiale. Le autorità: "Le infrastrutture non resisteranno, andate nei rifugi”
Con il premier ungherese Viktor Orban, “abbiamo avuto un bell’incontro, nel senso che ognuno di noi ha manifestato il suo punto di vista che cerchiamo di avvicinare sempre di più”. Così il segretario di Stato Vaticano, cardinale Pietro Parolin, entrando al Bambino Gesù di Roma per i 40 anni di Irccs,...
Per il tycoon accoglienza trionfale a Tokyo dalla nuova premier Sanae Takaichi: "Lui uomo di pace. Nuova età dell'oro dell'alleanza nippo-americana"
Raid aerei israeliani su Rafah. Idf diffonde video miliziani Hamas "che inscenano ritrovamento corpo di un ostaggio"
Quattro persone sarebbero state arrestate. Il cacciatorpediniere americano è ormeggiato in Trinidad e Tobago, a pochi chilometri dalle coste venezuelane
Mentre Mosca rivendica nuovi successi al fronte e testa il missile nucleare Burevestnik, Trump vola in Asia per incontrare Xi Jinping e cercare una via d’uscita dal conflitto
La scossa è stata avvertita anche a Istanbul ed in altre città del paese
Israele mette fine stato d'emergenza. Knesset discuterà pena di morte per i terroristi. Il ministro Sa'ar: "Israele non accetterà truppe turche a Gaza". Fonti: "Ricostruzione Gaza può partire subito in aree controllate da Idf"
La Costituzione lo vieta ma il presidente torna a parlarne. Cosa dicono i giuristi e cosa può succedere in caso di candidatura
Il contratto prevede la fornitura di 20 velivoli da combattimento all'aeronautica turca, valore 8 miliardi di sterline
Il memoriale situato National Memorial Arboretum nello Staffordshire è dedicato ai membri della comunità arruolati nelle forze armate anche quando essere gay nell'esercito era illegale