Uragano Melissa si abbatte sulla Giamaica, piogge torrenziali e venti a 300 chilometri orari

Si tratta della tempesta tropicale più potente registrata quest’anno a livello mondiale. Le autorità: "Le infrastrutture non resisteranno, andate nei rifugi”

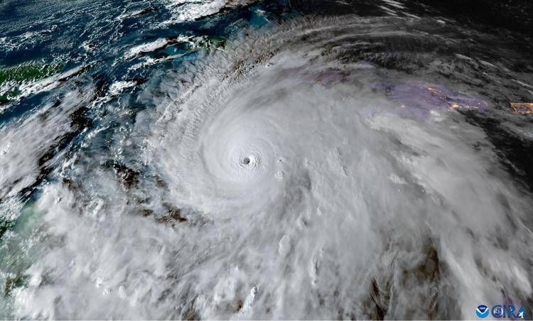
L'occhio dell'uragano Melissa - (Foto Cira)
L'occhio dell'uragano Melissa - (Foto Cira)
28 ottobre 2025 | 11.18
LETTURA: 2 minuti

L'uragano Melissa ha toccato terra in Giamaica con venti che sono arrivati a sfiorare i 300 chilometri orari e piogge torrenziali, risultando la tempesta tropicale più potente registrata quest’anno a livello mondiale, secondo un’analisi dell’Afp basata su dati meteorologici statunitensi.

CTA

L'uragano, inizialmente di livello 5, è sceso alla categoria 4 ma resta ancora "potente", ha reso noto il Centro nazionale per gli uragani degli Stati Uniti. "Melissa rimane un potente uragano di categoria 4 sulla Giamaica nord-occidentale", ha affermato il Centro nel suo ultimo bollettino. "Si tratta di una situazione estremamente pericolosa e potenzialmente letale".

Si contano già diverse vittime, mentre la Federazione Internazionale delle Società di Croce Rossa e Mezzaluna Rossa avvertono che l'uragano potrebbe avere un "impatto catastrofico". "Potrebbero essere colpite 1,5 milioni di persone" nel solo paese caraibico, ha dichiarato ai giornalisti Necephor Mghendi, capo delegazione della Federazione Internazionale della Croce Rossa per i Caraibi anglofoni e olandesi, avvertendo che il numero potrebbe essere "sottostimato". Le autorità giamaicane hanno sollecitato la popolazione a trasferirsi in zone elevate e a cercare rifugi.

L'uragano Melissa è il più intenso in termini di velocità del vento e pressione, superando il tifone Ragasa, che aveva colpito l'Asia orientale a settembre con venti di 267 chilometri orari, secondo i dati analizzati della National Oceanic and Atmospheric Administration (Noaa) degli Stati Uniti.

Tre morti

La tempesta ha seguito una traiettoria insolitamente lenta attraverso i Caraibi e ha già causato tre decessi in Giamaica tra la popolazione impegnata nei preparativi per affrontare Melissa, tre ad Haiti e uno nella Repubblica Dominicana. "Invitiamo tutti a prestare la massima attenzione: attività come arrampicarsi sui tetti, fissare sacchi di sabbia o tagliare alberi possono sembrare gestibili, ma anche piccoli errori durante un uragano possono provocare lesioni gravi o la morte", ha scritto su X il ministero della Salute dell'isola. Anche guidare su strade allagate o in aree con detriti è estremamente pericoloso. Gli ambulatori rimangono chiusi, ma gli ospedali sono aperti e prestano assistenza alle persone ferite dalla tempesta.

Riproduzione riservata
© Copyright Adnkronos
Tag
Vedi anche


SEGUICI SUI SOCIAL

threads whatsapp linkedin twitter youtube facebook instagram

ora in
Prima pagina
articoli
in Evidenza